Category 5 Hurricane Melissa Bears Down on Part of North America
All across the Caribbean, families huddled in darkened homes as howling winds ripped through the night — a terrifying reminder of nature’s growing fury and the fragility of life in its path.
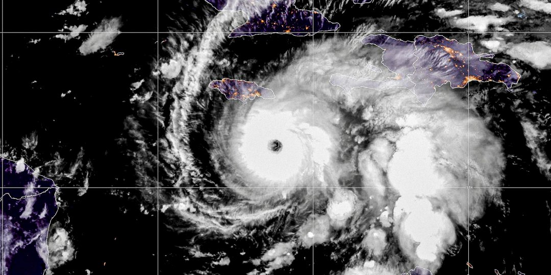
Hurricane Melissa, once a swirling storm off the coast, has exploded into a catastrophic Category 5 hurricane, doubling its wind speeds in under 24 hours and leaving meteorologists reeling. Fed by unusually warm ocean waters, Melissa is now packing winds of up to 175 mph, tearing through the region and unleashing devastation in its wake.

A satellite image of Hurricane Melissa provided by the National Oceanic and Atmospheric Administration (NOAA) on October 27, 2025. | Source: Getty Images
Just days ago, the storm strengthened into a Category 4 system on Saturday, unleashing torrential rain and sparking fears of catastrophic flooding across the northern Caribbean, according to the U.S. National Hurricane Center (NHC).
Late Monday, the NHC issued a chilling warning that "Catastrophic flash flooding and numerous landslides" are expected in Melissa's path, with some regions facing up to 30 inches of rainfall. Already, at least six people are dead, and nearly 200 homes have been damaged in the Dominican Republic.

Hurricane Melissa | Source: Getty Images
Melissa's sheer intensity has left weather experts stunned. "That part of the Atlantic is extremely warm right now — around 30 degrees Celsius (86 degrees Fahrenheit), which is 2 to 3 degrees Celsius above normal," said Akshay Deoras, a meteorologist at the University of Reading in the United Kingdom.
He added, "And it's not just the surface. The deeper layers of the ocean are also unusually warm, providing a vast reservoir of energy for the storm."

A coconut tree being blown by the storm from the effects of Hurricane Melissa | Source: Getty Images
Melissa is the fourth Atlantic storm this year to undergo rapid intensification, a phenomenon in which wind speeds spike dramatically in a short period of time — and scientists say this isn't a fluke.
"Climate change is fundamentally changing our weather," warned Bernadette Woods Placky, chief meteorologist at Climate Central. "It does not mean that every single tropical cyclone is going to go through rapid or super-rapid intensification. However, in our warmer world, it will continue to increase the likelihood."
A 2023 study reported by AP News revealed a disturbing trend: Atlantic hurricanes are now more than twice as likely to rapidly intensify from minor storms into major ones than they were in the 1970s and 1980s. The analysis covered 830 tropical cyclones since 1971.

A man watches the waves crash into the walls as Hurricane Melissa hits. | Source: Getty Images
The storm's current position has several Caribbean nations on high alert. As of Monday night, Melissa was centered roughly 155 miles southwest of Kingston, Jamaica, and 335 miles southwest of Guantánamo, Cuba, inching forward at a menacing 2 mph.
Experts are warning that Melissa's slow pace and proximity to land could spell disaster. "If a hurricane forms deep in the ocean and just dissipates over the ocean, it's fine. It's not going to affect anyone," Deoras said. "But if it forms close to the coast, and if it just crosses the coast, as we are going to see in the case of Jamaica and other regions, it's a big problem."

Storm surge is pictured before the arrival of Hurricane Melissa in the Caribbean Terrace area of Kingston, Jamaica, on October 25, 2025 | Source: Getty Images
On the ground in Kingston, residents are already making desperate preparations. "I boarded up the windows at my home, where my husband and brother are staying," said Hanna Mcleod, a 23-year-old hotel receptionist. "I stocked up on canned corned beef and mackerel and left candles and flashlights throughout the house."
Jamaican Prime Minister Andrew Holness addressed the nation with a sobering update: mandatory evacuations have been ordered in flood-prone areas, and shelters are being prepared across the island. "I have been on my knees in prayer," he said.

A fallen Jamaica Public Service light pole lies along Sugar Man's Beach Road in Hellshire, St. Catherine, as Jamaica begins to feel Hurricane Melissa's impact on October 26, 2025. | Source: Getty Images
Storm surges could reach up to 13 feet, threatening Jamaica's international airport, power plants, and coastal infrastructure. The forecast has sparked fears of a potential humanitarian crisis.
"This can become a true humanitarian crisis very quickly, and there is likely going to be the need for a lot of international support," said Jonathan Porter, chief meteorologist at AccuWeather.